Megosztva 2 ház építésre is alkalmas zártkert Kővágóörsön

6694 Nyomtatás Ajánlás Facebook

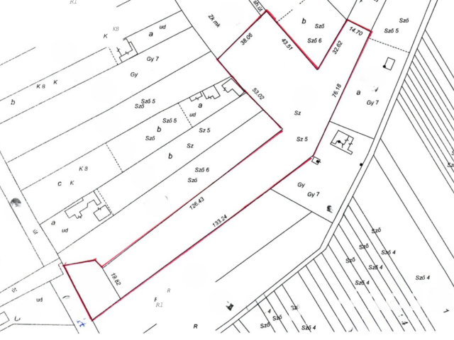
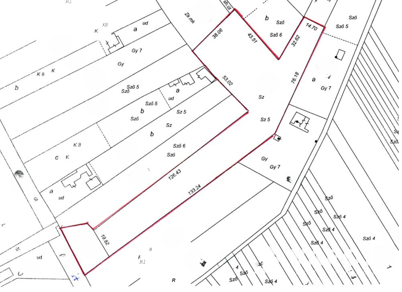
Balaton-felvidéki zártkerti telek – Kővágóörs/Révfülöp határán

6377 m² zártkert, 2 részre osztható, akár 2 épület építhető

Felső telekrészről Balatoni panoráma

Mindkét építési helyen kiépített villamos energia

3 éves Olaszrizling ültetvény, új támrendszerrel

Automata öntözőrendszer

Szőlőművelésre élő szerződés – igény szerint folytatható

Vízbekötés előkészítve, utcában vezetékes ivóvíz, telken belül vízvételi pont

Körbekerített telek, 2 bejárattal

Megközelítés: 400 m jól járható, zúzott köves út

A környéken több ingatlanban állandó lakók

Lehetőség további terület vásárlására közvetlenül mellette

Hívjon és nézze meg személyesen.

Sibak András

Sibak András

Ingatlanértékesítő
Tapolca
+36 (70) 533 0069
Észrevétel a hirdetéssel kapcsolatban
Egy ingatlanos naplója